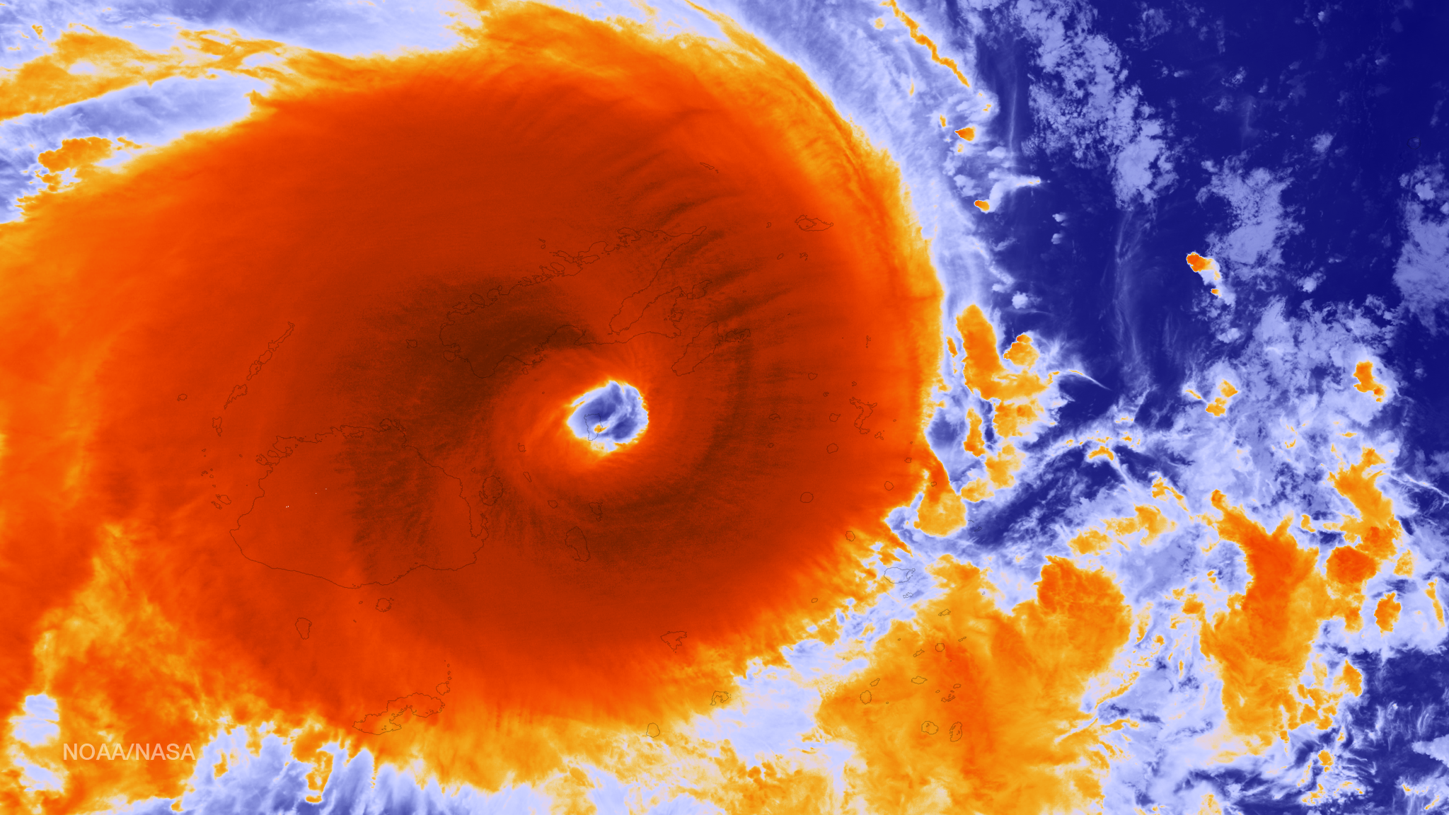
Nasa Noaa Satellite Sees Powerful Tropical Cyclone Oma Affecting New Caledonia
The Moderate Resolution Imaging Spectroradiometer (MODIS) on NASA's Aqua satellite captured this naturalcolor image of Felleng off the east coast of Madagascar on January 29 The JTWC projected storm track showed Felleng moving southward over the Indian Ocean, east of Madagascar and west of Réunion, then veering slightly toward the southeastTropical Cyclones Image Enhancements FAQ Within the various "Images & Movies" pages and "TCTrak" window Infrared images are displayed that have been enhanced using two primary enhancement curves These enhancements are used to highlight various different features within the imagery, with each enhancement used for different purposes
Tropical cyclone imagery
Tropical cyclone imagery-LIVE updates, satellite images and tracking maps of Tropical Cyclone Batsirai 22 Current wind speed 185km/h Max 230km/h Batsirai is located 2 km southeast of Antananarivo, Madagascar, and has moved westsouthwestward at 19 km/h (10 knots) over the past 6 hours Batsirai is forecast to make landfall within the next 6 hours and willIn tropical cyclone, as the air moves toward the center, the speed must increase However, as the speed increases, an outwarddirected force, called the centrifugal force, occurs because the wind's momentum wants to carry the wind in a straight line Since the wind is turning about the center of the tropical cyclone, there is a pull outward
Tropical Cyclone Naming Wikiwand
Wind gusts toppped 90 mph in the island nation of Mauritius as Tropical Cyclone Batsirai barreled across the Indian Ocean This footage showsPortalTropical cyclones/Selected image/1 Hurricane Floyd was a destructive hurricane that hit North Carolina and New Jersey during the 1999 Atlantic hurricane season The image above was taken of Floyd near its peak intensity, and because the image is so striking, it has often been attributed to other, more recent destructive storms such as Tropical Cyclone Vaianu was threading its way through the Tonga Islands on , when the Moderate Resolution Imaging Spectroradiometer (MODIS) on the Aqua satellite captured this image at 145 UTC (145 pm local time) At this time, Vaianu was heading south through the chain of islands, knocking out electricity in many areas, as well as flattening
This colorcoded image shows the storm track and rainfall amounts for Tropical Cyclone Phet from May 31 to This image originally appeared in the NASA Earth Observatory story Tropical Cyclone PhetFind the perfect Tropical Cyclone Australia stock illustrations from Getty Images Select from premium Tropical Cyclone Australia images of the highest qualityTropical cyclone Stock Photos and Images 8,726 matches Page of Typhoon near crop field leaving floods and waste land Hurricane Harvey, seen fom the International Space Station Elements of this image are furnished by NASA Hurricane Symbol Extremely detailed and realistic high resolution 3D illustration of a Hurricane approaching Texas
Tropical cyclone imageryのギャラリー
各画像をクリックすると、ダウンロードまたは拡大表示できます
Tropical Cyclones Stalling Along The North Atlantic Coast Lead To More Rain In The Confined Location Un Spider Knowledge Portal | ![]() Tropical Cyclones Stalling Along The North Atlantic Coast Lead To More Rain In The Confined Location Un Spider Knowledge Portal | ![]() Tropical Cyclones Stalling Along The North Atlantic Coast Lead To More Rain In The Confined Location Un Spider Knowledge Portal |
![]() Tropical Cyclones Stalling Along The North Atlantic Coast Lead To More Rain In The Confined Location Un Spider Knowledge Portal | Tropical Cyclones Stalling Along The North Atlantic Coast Lead To More Rain In The Confined Location Un Spider Knowledge Portal | ![]() Tropical Cyclones Stalling Along The North Atlantic Coast Lead To More Rain In The Confined Location Un Spider Knowledge Portal |
![]() Tropical Cyclones Stalling Along The North Atlantic Coast Lead To More Rain In The Confined Location Un Spider Knowledge Portal | ![]() Tropical Cyclones Stalling Along The North Atlantic Coast Lead To More Rain In The Confined Location Un Spider Knowledge Portal | ![]() Tropical Cyclones Stalling Along The North Atlantic Coast Lead To More Rain In The Confined Location Un Spider Knowledge Portal |
Tropical Cyclones Stalling Along The North Atlantic Coast Lead To More Rain In The Confined Location Un Spider Knowledge Portal | ![]() Tropical Cyclones Stalling Along The North Atlantic Coast Lead To More Rain In The Confined Location Un Spider Knowledge Portal | ![]() Tropical Cyclones Stalling Along The North Atlantic Coast Lead To More Rain In The Confined Location Un Spider Knowledge Portal |
Tropical Cyclones Stalling Along The North Atlantic Coast Lead To More Rain In The Confined Location Un Spider Knowledge Portal | ![]() Tropical Cyclones Stalling Along The North Atlantic Coast Lead To More Rain In The Confined Location Un Spider Knowledge Portal | Tropical Cyclones Stalling Along The North Atlantic Coast Lead To More Rain In The Confined Location Un Spider Knowledge Portal |
![]() Tropical Cyclones Stalling Along The North Atlantic Coast Lead To More Rain In The Confined Location Un Spider Knowledge Portal | ![]() Tropical Cyclones Stalling Along The North Atlantic Coast Lead To More Rain In The Confined Location Un Spider Knowledge Portal | ![]() Tropical Cyclones Stalling Along The North Atlantic Coast Lead To More Rain In The Confined Location Un Spider Knowledge Portal |
![]() Tropical Cyclones Stalling Along The North Atlantic Coast Lead To More Rain In The Confined Location Un Spider Knowledge Portal | ![]() Tropical Cyclones Stalling Along The North Atlantic Coast Lead To More Rain In The Confined Location Un Spider Knowledge Portal | ![]() Tropical Cyclones Stalling Along The North Atlantic Coast Lead To More Rain In The Confined Location Un Spider Knowledge Portal |
Tropical Cyclones Stalling Along The North Atlantic Coast Lead To More Rain In The Confined Location Un Spider Knowledge Portal | ![]() Tropical Cyclones Stalling Along The North Atlantic Coast Lead To More Rain In The Confined Location Un Spider Knowledge Portal | ![]() Tropical Cyclones Stalling Along The North Atlantic Coast Lead To More Rain In The Confined Location Un Spider Knowledge Portal |
![]() Tropical Cyclones Stalling Along The North Atlantic Coast Lead To More Rain In The Confined Location Un Spider Knowledge Portal | ![]() Tropical Cyclones Stalling Along The North Atlantic Coast Lead To More Rain In The Confined Location Un Spider Knowledge Portal | ![]() Tropical Cyclones Stalling Along The North Atlantic Coast Lead To More Rain In The Confined Location Un Spider Knowledge Portal |
![]() Tropical Cyclones Stalling Along The North Atlantic Coast Lead To More Rain In The Confined Location Un Spider Knowledge Portal | ![]() Tropical Cyclones Stalling Along The North Atlantic Coast Lead To More Rain In The Confined Location Un Spider Knowledge Portal | ![]() Tropical Cyclones Stalling Along The North Atlantic Coast Lead To More Rain In The Confined Location Un Spider Knowledge Portal |
![]() Tropical Cyclones Stalling Along The North Atlantic Coast Lead To More Rain In The Confined Location Un Spider Knowledge Portal | ![]() Tropical Cyclones Stalling Along The North Atlantic Coast Lead To More Rain In The Confined Location Un Spider Knowledge Portal | ![]() Tropical Cyclones Stalling Along The North Atlantic Coast Lead To More Rain In The Confined Location Un Spider Knowledge Portal |
![]() Tropical Cyclones Stalling Along The North Atlantic Coast Lead To More Rain In The Confined Location Un Spider Knowledge Portal | ![]() Tropical Cyclones Stalling Along The North Atlantic Coast Lead To More Rain In The Confined Location Un Spider Knowledge Portal | ![]() Tropical Cyclones Stalling Along The North Atlantic Coast Lead To More Rain In The Confined Location Un Spider Knowledge Portal |
![]() Tropical Cyclones Stalling Along The North Atlantic Coast Lead To More Rain In The Confined Location Un Spider Knowledge Portal | ![]() Tropical Cyclones Stalling Along The North Atlantic Coast Lead To More Rain In The Confined Location Un Spider Knowledge Portal | ![]() Tropical Cyclones Stalling Along The North Atlantic Coast Lead To More Rain In The Confined Location Un Spider Knowledge Portal |
![]() Tropical Cyclones Stalling Along The North Atlantic Coast Lead To More Rain In The Confined Location Un Spider Knowledge Portal | Tropical Cyclones Stalling Along The North Atlantic Coast Lead To More Rain In The Confined Location Un Spider Knowledge Portal | ![]() Tropical Cyclones Stalling Along The North Atlantic Coast Lead To More Rain In The Confined Location Un Spider Knowledge Portal |
![]() Tropical Cyclones Stalling Along The North Atlantic Coast Lead To More Rain In The Confined Location Un Spider Knowledge Portal | Tropical Cyclones Stalling Along The North Atlantic Coast Lead To More Rain In The Confined Location Un Spider Knowledge Portal | ![]() Tropical Cyclones Stalling Along The North Atlantic Coast Lead To More Rain In The Confined Location Un Spider Knowledge Portal |
Tropical Cyclones Stalling Along The North Atlantic Coast Lead To More Rain In The Confined Location Un Spider Knowledge Portal | ![]() Tropical Cyclones Stalling Along The North Atlantic Coast Lead To More Rain In The Confined Location Un Spider Knowledge Portal | ![]() Tropical Cyclones Stalling Along The North Atlantic Coast Lead To More Rain In The Confined Location Un Spider Knowledge Portal |
![]() Tropical Cyclones Stalling Along The North Atlantic Coast Lead To More Rain In The Confined Location Un Spider Knowledge Portal | ![]() Tropical Cyclones Stalling Along The North Atlantic Coast Lead To More Rain In The Confined Location Un Spider Knowledge Portal | ![]() Tropical Cyclones Stalling Along The North Atlantic Coast Lead To More Rain In The Confined Location Un Spider Knowledge Portal |
![]() Tropical Cyclones Stalling Along The North Atlantic Coast Lead To More Rain In The Confined Location Un Spider Knowledge Portal | ![]() Tropical Cyclones Stalling Along The North Atlantic Coast Lead To More Rain In The Confined Location Un Spider Knowledge Portal | ![]() Tropical Cyclones Stalling Along The North Atlantic Coast Lead To More Rain In The Confined Location Un Spider Knowledge Portal |
![]() Tropical Cyclones Stalling Along The North Atlantic Coast Lead To More Rain In The Confined Location Un Spider Knowledge Portal | ![]() Tropical Cyclones Stalling Along The North Atlantic Coast Lead To More Rain In The Confined Location Un Spider Knowledge Portal | ![]() Tropical Cyclones Stalling Along The North Atlantic Coast Lead To More Rain In The Confined Location Un Spider Knowledge Portal |
Tropical Cyclones Stalling Along The North Atlantic Coast Lead To More Rain In The Confined Location Un Spider Knowledge Portal | ![]() Tropical Cyclones Stalling Along The North Atlantic Coast Lead To More Rain In The Confined Location Un Spider Knowledge Portal | Tropical Cyclones Stalling Along The North Atlantic Coast Lead To More Rain In The Confined Location Un Spider Knowledge Portal |
![]() Tropical Cyclones Stalling Along The North Atlantic Coast Lead To More Rain In The Confined Location Un Spider Knowledge Portal | ![]() Tropical Cyclones Stalling Along The North Atlantic Coast Lead To More Rain In The Confined Location Un Spider Knowledge Portal | Tropical Cyclones Stalling Along The North Atlantic Coast Lead To More Rain In The Confined Location Un Spider Knowledge Portal |
Tropical Cyclones Stalling Along The North Atlantic Coast Lead To More Rain In The Confined Location Un Spider Knowledge Portal | Tropical Cyclones Stalling Along The North Atlantic Coast Lead To More Rain In The Confined Location Un Spider Knowledge Portal | ![]() Tropical Cyclones Stalling Along The North Atlantic Coast Lead To More Rain In The Confined Location Un Spider Knowledge Portal |
![]() Tropical Cyclones Stalling Along The North Atlantic Coast Lead To More Rain In The Confined Location Un Spider Knowledge Portal | ![]() Tropical Cyclones Stalling Along The North Atlantic Coast Lead To More Rain In The Confined Location Un Spider Knowledge Portal | ![]() Tropical Cyclones Stalling Along The North Atlantic Coast Lead To More Rain In The Confined Location Un Spider Knowledge Portal |
![]() Tropical Cyclones Stalling Along The North Atlantic Coast Lead To More Rain In The Confined Location Un Spider Knowledge Portal | ![]() Tropical Cyclones Stalling Along The North Atlantic Coast Lead To More Rain In The Confined Location Un Spider Knowledge Portal | ![]() Tropical Cyclones Stalling Along The North Atlantic Coast Lead To More Rain In The Confined Location Un Spider Knowledge Portal |
![]() Tropical Cyclones Stalling Along The North Atlantic Coast Lead To More Rain In The Confined Location Un Spider Knowledge Portal | ![]() Tropical Cyclones Stalling Along The North Atlantic Coast Lead To More Rain In The Confined Location Un Spider Knowledge Portal | ![]() Tropical Cyclones Stalling Along The North Atlantic Coast Lead To More Rain In The Confined Location Un Spider Knowledge Portal |
![]() Tropical Cyclones Stalling Along The North Atlantic Coast Lead To More Rain In The Confined Location Un Spider Knowledge Portal | ![]() Tropical Cyclones Stalling Along The North Atlantic Coast Lead To More Rain In The Confined Location Un Spider Knowledge Portal | ![]() Tropical Cyclones Stalling Along The North Atlantic Coast Lead To More Rain In The Confined Location Un Spider Knowledge Portal |
![]() Tropical Cyclones Stalling Along The North Atlantic Coast Lead To More Rain In The Confined Location Un Spider Knowledge Portal | Tropical Cyclones Stalling Along The North Atlantic Coast Lead To More Rain In The Confined Location Un Spider Knowledge Portal | ![]() Tropical Cyclones Stalling Along The North Atlantic Coast Lead To More Rain In The Confined Location Un Spider Knowledge Portal |
Tropical Cyclones Stalling Along The North Atlantic Coast Lead To More Rain In The Confined Location Un Spider Knowledge Portal | ![]() Tropical Cyclones Stalling Along The North Atlantic Coast Lead To More Rain In The Confined Location Un Spider Knowledge Portal | ![]() Tropical Cyclones Stalling Along The North Atlantic Coast Lead To More Rain In The Confined Location Un Spider Knowledge Portal |
![]() Tropical Cyclones Stalling Along The North Atlantic Coast Lead To More Rain In The Confined Location Un Spider Knowledge Portal | ![]() Tropical Cyclones Stalling Along The North Atlantic Coast Lead To More Rain In The Confined Location Un Spider Knowledge Portal | Tropical Cyclones Stalling Along The North Atlantic Coast Lead To More Rain In The Confined Location Un Spider Knowledge Portal |
![]() Tropical Cyclones Stalling Along The North Atlantic Coast Lead To More Rain In The Confined Location Un Spider Knowledge Portal | ![]() Tropical Cyclones Stalling Along The North Atlantic Coast Lead To More Rain In The Confined Location Un Spider Knowledge Portal | ![]() Tropical Cyclones Stalling Along The North Atlantic Coast Lead To More Rain In The Confined Location Un Spider Knowledge Portal |
Tropical Cyclones Stalling Along The North Atlantic Coast Lead To More Rain In The Confined Location Un Spider Knowledge Portal | ![]() Tropical Cyclones Stalling Along The North Atlantic Coast Lead To More Rain In The Confined Location Un Spider Knowledge Portal | Tropical Cyclones Stalling Along The North Atlantic Coast Lead To More Rain In The Confined Location Un Spider Knowledge Portal |
![]() Tropical Cyclones Stalling Along The North Atlantic Coast Lead To More Rain In The Confined Location Un Spider Knowledge Portal | ![]() Tropical Cyclones Stalling Along The North Atlantic Coast Lead To More Rain In The Confined Location Un Spider Knowledge Portal | Tropical Cyclones Stalling Along The North Atlantic Coast Lead To More Rain In The Confined Location Un Spider Knowledge Portal |
![]() Tropical Cyclones Stalling Along The North Atlantic Coast Lead To More Rain In The Confined Location Un Spider Knowledge Portal | ![]() Tropical Cyclones Stalling Along The North Atlantic Coast Lead To More Rain In The Confined Location Un Spider Knowledge Portal | ![]() Tropical Cyclones Stalling Along The North Atlantic Coast Lead To More Rain In The Confined Location Un Spider Knowledge Portal |
![]() Tropical Cyclones Stalling Along The North Atlantic Coast Lead To More Rain In The Confined Location Un Spider Knowledge Portal | ![]() Tropical Cyclones Stalling Along The North Atlantic Coast Lead To More Rain In The Confined Location Un Spider Knowledge Portal | ![]() Tropical Cyclones Stalling Along The North Atlantic Coast Lead To More Rain In The Confined Location Un Spider Knowledge Portal |
Tropical Cyclones Stalling Along The North Atlantic Coast Lead To More Rain In The Confined Location Un Spider Knowledge Portal | ![]() Tropical Cyclones Stalling Along The North Atlantic Coast Lead To More Rain In The Confined Location Un Spider Knowledge Portal |
Meteosat truecolor image of Tropical Cyclone Batsirai at 615 am EDT (Image credit NOAA/RAMMB/Colorado State University) The island nation of Madagascar, already reeling from flooding rains from Tropical Storm Ana on January 22 and a devastating drought in southern parts of theOnce a powerful Category 4 storm, Cyclone Phet had weakened to a Category 3 storm by the time it came ashore over Oman on The Moderate Resolution Imaging Spectroradiometer on NASA's Terra satellite acquired this photolike image of the storm at 1040 am local time on June 4 By that time, Phet had degraded into a Category 1 storm with winds of about 75 knots (140
Incoming Term: tropical cyclone images, tropical cyclone imagery, tropical cyclone images download, tropical cyclone eloise images, tropical cyclone satellite images, tropical cyclone microwave imagery, tropical cyclone storm images, tropical cyclone eloise satellite images, tropical cyclone yasi satellite image, tropical cyclone nivar satellite image,




















































































No comments:
Post a Comment